icon-volet-admin

Créer un dossier patient pas à pas

La création d’un dossier patient peut se faire avec la carte Vitale physique, via l’application Carte Vitale, ou manuellement sans carte Vitale.

🗂️ Option 1 - Créer un dossier patient à partir de la carte vitale

Après avoir inséré la carte vitale dans le lecteur, cliquer sur l’icône « Vitale » de la barre latérale gauche.

La carte est automatiquement reconnue, affichant la page ci-dessous. Sélectionner le patient souhaité dans la liste et cliquer sur « Nouveau dossier patient ».

🗂️ Option 2 – Créer un dossier patient sans carte vitale

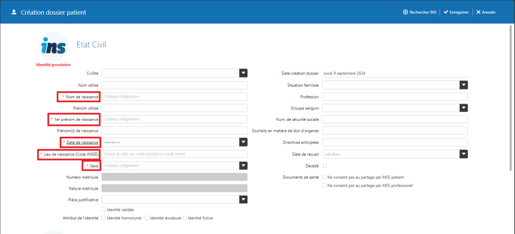
Si la carte Vitale est absente, cliquer sur l’icône « Vitale » de la barre latérale gauche puis sur « Nouveau dossier patient ».

Renseignez tous les champs obligatoires (marqués d’un astérisque), en particulier le numéro de sécurité sociale.

Vérifiez bien la cohérence des informations avant d’enregistrer, surtout en cas d’homonymes.

Si le lieu de naissance est inconnu, laissez le champ vide : un numéro générique sera automatiquement attribué.

🗂️Option 3 - Créer un dossier patient à partir de l’application Carte Vitale

❓Les Prérequis

Pour utiliser cette fonctionnalité dans DrSanté, vous devez au choix :

  • Être équipé d’un lecteur compatible PC/SC avec la fonctionnalité NFC ou QRCode, par exemple
    : DC300 Standard ou TI-KAP
  • Avoir souscrit à l’application mobile et au cloud DrSanté.

⚙️ Activer la fonctionnalité dans les paramètres

Pour activer la lecture de la carte Vitale via NFC et/ou QR Code, suivez les étapes ci-dessous :

  1. Allez dans Paramètres “Utilisateur”.
  2. Cliquez sur “Autres paramètres”.
  3. En haut à droite, cliquez sur “Modifier”.
  4. Dans la section “Téléservices”, cochez la case : « Utiliser l’application Carte Vitale pour la facturation ».
  5. Cliquez sur “Enregistrer” en haut à droite.

🔐Connexion avec un lecteur compatible ApCV

Pour authentifier un patient via l’application Carte Vitale avec un lecteur ApCV :

  1. À l’apparition de l’écran d’authentification, approchez le téléphone du patient du lecteur.
  2. Le téléphone du patient doit être connecté à l’application Carte Vitale.
  3. Une fois les informations récupérées (via scan du QR Code ou NFC) :
    • Le code porteur de la carte CPS vous sera demandé.
    • La liste des bénéficiaires s’affichera automatiquement : sélectionnez celui désiré pour créer le dossier.

🔐Connexion avec un l’application mobile DrSanté

Si vous utilisez l’application mobile DrSanté pour scanner la Carte Vitale :

  1. À l’apparition de l’écran d’authentification, ouvrez l’application mobile DrSanté sur votre téléphone.
  2. Le lecteur de QrCode se déclenche automatiquement
  3. Une fois les informations récupérées :
    • Le code porteur de la carte CPS vous sera demandé.
    • La liste des bénéficiaires s’affichera automatiquement : sélectionnez celui désiré pour créer le dossier.
Cet article vous a-t-il été utile ?

Besoin d’aide ou d’une formation ? Contactez notre service support

Par mail à l’adresse suivante support@logicieldrsante.com en nous précisant votre demande et vos disponibilités, ou directement par téléphone